‘ফণি’র অগ্রভাগ বাংলাদেশে
প্রকাশিত: ৩ মে ২০১৯
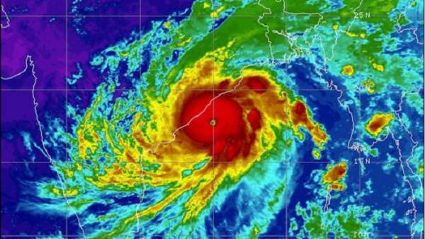
‘ফণি’র অগ্রভাগ বাংলাদেশে প্রবেশ করেছে। এরইমধ্যে ভোলা, চরফ্যাশন, পাথরঘাঁটা, কলাপাড়া, লালমোহন, মঠবাড়িয়া, সাতক্ষীরার শ্যামনগরে ‘ফণি’র অগ্রভাগের প্রভাব শুরু হয়েছে। যতটুকু শক্তি হারানোর কথা ছিল ততটুকু শক্তি হারায়নি ‘ফণি’। তাই শক্তি নিয়েই সন্ধ্যা নাগাদ এটি বাংলাদেশে আঘাত হানতে শুরু করতে পারে।
শুক্রবার দুপুরে আবহাওয়া অধিদফতরের পরিচালক সামছুদ্দিন আহমেদ গণমাধ্যমকে এসব কথা জানান।
তিনি বলেন, জনসাধারণকে আমরা অতিদ্রুত আশ্রয় কেন্দ্রে যাওয়ার অনুরোধ করছি। কেননা উচ্চগতির বাতাস ও দমকা ঝড়ো হাওয়ার সময় সবাইকে নিরাপদে থাকতে হবে। ফণি উপকূল অতিক্রম করার সময় বাংলাদেশের উপকূলীয় নিচু এলাকাগুলো স্বাভাবিকের চেয়ে ৪ থেকে ৫ ফুট বেশি উচ্চতার জলোচ্ছ্বাসে প্লাবিত হতে পারে।
ডেইলি বাংলাদেশের প্রতিনিধিদের তথ্যমতে, ফণির প্রভাবে বাঁধ ভেঙে পটুয়াখালী ও বাগেরহাটের বেশ কয়েকটি গ্রাম প্লাবিত হয়েছে। এরইমধ্যে ঢাকাসহ বিভিন্ন জেলায় বৃষ্টি শুরু হয়েছে। একইসঙ্গে বইছে দমকা হাওয়া। ঘূর্ণিঝড়ের কারণে মোংলা ও পায়রা সমুদ্রবন্দরকে ৭ নম্বর ও চট্টগ্রামকে ৬ নম্বর বিপদ সংকেত দেখিয়ে যেতে বলা হয়েছে।
এদিকে, ঘূর্ণিঝড়টি সকালে উড়িষ্যা উপকূল অতিক্রম করে। এটি এখন শক্তিশালী ঘূর্ণিঝড় হিসেবে পশ্চিমবঙ্গে অবস্থান করছে। পশ্চিমবঙ্গের হালদাবাড়ি, রায়দিঘী, ঝাড়খালি, পিরেজগঞ্জ, নামখানা, গঙ্গাসাগর, রোরখেলা ও কলকাতায় ফণির তাণ্ডব চলছে।
ঘূর্ণিঝড় ‘ফণি’ভারত অতিক্রম করে খুলনাসহ দক্ষিণ পশ্চিমাঞ্চলে শুক্রবার রাতে আঘাত হানতে পারে বলে জানিয়েছে আবহাওয়া অধিদফতর। এ সময় খুলনা বিভাগের যশোর-কুষ্টিয়া এলাকা বেশি ক্ষতিগ্রস্ত হতে পারে। তবে পশ্চিমবঙ্গের উপকূলীয় এলাকা অতিক্রম করার পর ঝড়টি কিছুটা হালকা হয়ে ঘণ্টায় ৯০ কিলোমিটার বেগে বাংলাদেশে প্রবেশ করবে। এর প্রভাবে সারাদেশে শুক্রবার বিকেল থেকে বৃষ্টি শুরু হয়ে ৫ তারিখ সকাল পর্যন্ত বিরতি দিয়ে চলবে।
উপকূলীয় জেলাগুলোতে শুকনা খাবার, ওষুধ, পানির ব্যবস্থা রাখা হয়েছে। যেসব জেলা আক্রান্ত হতে পারে সেসব জেলায় নতুন করে বরাদ্দ দেয়া হয়েছে। উপকূলীয় জেলাগুলোতে মাইকিং করে জনগণকে সতর্ক করা হচ্ছে।
জেলা প্রশাসকদের ২০০ টন চাল পৌঁছে দেয়া হয়েছে, পাশাপাশি প্রত্যেক ডিসিকে পাঁচ লাখ করে টাকা দেয়া আছে।
ফণির আঘাতে সবচেয়ে বেশি আক্রন্ত হতে পারে এমন এলাকাগুলো হল- খুলনা, যশোর, কুষ্টিয়া, ঝিনাইদহ, চুয়াডাঙ্গা, নড়াইল, ফরিদপুর, মেহেরপুর, সাতক্ষীরা, রাজবাড়ী, মানিকগঞ্জ, পাবনা, বগুড়া, নাটোর, সিরাজগঞ্জ, টাঙ্গাইল, ময়মনসিংহ, জামালপুর, শেরপুর, নেত্রকোনা, গোপালগঞ্জ, ঢাকা, কিশোরগঞ্জ ও তার আশেপাশের এলাকা।
আবহাওয়ার পূর্বাভাসে বলা হয়েছে, রংপুর, ময়মনসিংহ, চট্টগ্রাম, সিলেট বিভাগের দু-এক জায়গায় অস্থায়ীভাবে দমকা ঝড়ো হাওয়াসহ বৃষ্টি অথবা বজ্রবৃষ্টি হতে পারে। এছাড়া দেশের অন্যত্র অস্থায়ীভাবে আংশিক মেঘলা আকাশসহ আবহাওয়া সাধারণত শুষ্ক থাকতে পারে। দিনের ও রাতের তাপমাত্রা প্রায় অপরিবর্তিত থাকতে পারে। আগামী পাঁচদিন তাপমাত্রা আরও হ্রাস পেতে পারে।
- অফিস ৯টা থেকে ৪টা, ৬টায় মার্কেট বন্ধ: মন্ত্রিসভায় গুচ্ছ সিদ্ধান্ত
- একলাফে ১২ কেজি এলপিজি’র দাম বাড়লো ৩৮৭ টাকা
- ১১৬ টাকার তেল বিক্রি হচ্ছিল ১৬০ টাকায়, ব্যবসায়ীকে শাস্তি
- তেলবাহী ট্রেন লাইনচ্যুত, সিলেটের সঙ্গে সারাদেশের রেল যোগাযোগ বন্ধ
- আরব দেশগুলোর ওপর ইরান যুদ্ধের খরচ চাপাতে চান ট্রাম্প
- অস্ত্র পরিবহনে ইসরায়েলকে আকাশসীমা ব্যবহারের অনুমতি দেয়নি ফ্রান্স
- গ্ল্যামার জগতকে বিদায় জানিয়ে বিয়ে, প্রশংসায় ভাসছেন লুবাবা
- মিত্রদের ‘সাহস করে’ হরমুজে গিয়ে তেল ‘ছিনিয়ে নিতে’ বললেন ট্রাম্প
- হরমুজ প্রণালি কার্যত স্থবির, আজ পারি দিয়েছে মাত্র ৩টি জাহাজ
- ফিলিস্তিনিদের জন্য মৃত্যুদণ্ডের আইন পাস ইসরায়েলি পার্লামেন্টে
- মার্কিন প্রযুক্তি কোম্পানিকে লক্ষ্যবস্তু করার হুমকি ইরানের
- হামসহ ছয় টিকার সংকট
- চাঁদা তোলা নিয়ে যুবদলের দুগ্রুপে সংঘর্ষ, আহত ১০
- স্কুল-কলেজে ৩ দিন অনলাইন ক্লাস, ৩ দিন অফলাইনে
- একা হয়ে পড়ছেন ট্রাম্প, পোস্টে অধৈর্য ও অসহিষ্ণুতা
- এবার যুক্তরাষ্ট্রের জন্য আকাশসীমা বন্ধ করল স্পেন
- লিবিয়ার দালাল কে এই আজিজ
- সত্যি বলতে ইরানের তেল নেওয়াই আমার প্রধান কাজ : ট্রাম্প
- সিএমপি’র সাবেক কমিশনার জলিল মন্ডল গ্রেপ্তার
- কুমিল্লায় হামে আক্রান্ত হয়ে তিন শিশুর মৃত্যু
- ইরানে ব্রিটিশ সেনা পাঠানো নিয়ে যে সিদ্ধান্ত জানালেন স্টারমার
- হুহু করে বাড়ছে তাইজুল ইসলামের ফলোয়ার
- ‘জ্বালানি তেলের নতুন দাম নির্ধারণ মঙ্গলবার’
- আর কত লোক মারা গেলে সড়কমন্ত্রী অস্বস্তি বোধ করবেন
- মার্কিন স্থল সেনাদের জন্য যে ‘নরক’ তৈরি করেছে ইরান
- ইরানে পারমাণবিক হামলা করবে যুক্তরাষ্ট্র
- যুক্তরাষ্ট্রে ট্রাম্পবিরোধী বিক্ষোভে লাখ লাখ মানুষের সমাগম
- গ্রিস উপকূলে ২২ অভিবাসনপ্রত্যাশীর মৃত্যু: ২১ বাংলাদেশি উদ্ধার
- আওয়ামী পরিবারের স্বাধীনতা দিবস উদযাপন
- ব্র্রংকস কমিউনিটির উদ্যোগে আলবেনিতে বাংলাদেশ ডে
- আজকাল এর ৮৯৩ তম সংখ্যা
- কোন দল জিতবে সংসদ নির্বাচনে
- টুটুলের কাছে পাওনাঃ রোকসানা মির্জা ও আজাদের কান্না
- ২০২৬ সালের রোজা ও ঈদের সম্ভাব্য তারিখ জানা গেল
- আজকাল ৮৮৯
- জামাত কেন এবারই ক্ষমতায় যেতে চায়!
- ইনস্টাগ্রামের ফিচার এখন হোয়াটসঅ্যাপে
- আজকাল ৮৯২
- আজকাল ৮৯১ তম সংখ্যা
- আজকাল ৮৯৪
- আজকাল ৮৯০
- টেলিগ্রামে ১০৮ পর্নোগ্রাফি চ্যানেল শনাক্ত, বন্ধে চিঠি
- হজযাত্রীদের নিবন্ধনের সময় আরও বাড়লো
- সব ভিসাতেই পালন করা যাবে ওমরাহ
- আজকাল ৮৯৫
- আজকের সংখ্যা ৯০৩
- শেখ হাসিনা একজন ছোটখাটো হিটলার: মাহমুদুর রহমান
- বড় জয়ে সিরিজ বাংলাদেশের
- ইতিহাসে সবচেয়ে বেশি ডলারের মালিক হলেন ইলন মাস্ক
- নোয়াখালী ও কুমিল্লা বিভাগের দাবিতে মানববন্ধন
- শেখ রাসেলের একটি প্রিয় খেলা
- ঢাকার ২৩ প্রার্থীর মনোনয়ন প্রত্যাহার
- বিকাশের কাছে জিম্মি এজেন্টরা
- আবার ক্ষমতায় আসছে আওয়ামী লীগ: ইআইইউ
- ‘নগদ’কে অনুসরণ করে এগুচ্ছে বিকাশ!
- জাতিসংঘে অভিবাসন নিয়ে প্রধানমন্ত্রীর প্রস্তাবনা গৃহীত
- ৫০ হাজার আসনের ‘শেখ হাসিনা’ ক্রিকেট স্টেডিয়াম হচ্ছে পূর্বাচলে
- শেষ ঠিকানা আজিমপুর কবরস্থান
- শেখ হাসিনার হাতটি ধরে পথের শিশু যাবে ঘরে
- সরকার যথাসময়ে পদক্ষেপ নেওয়ায় কোভিডের ক্ষয়ক্ষতি অনেক কম হয়েছে: প্
- ভেনামি চিংড়ি চাষে প্রতিমন্ত্রীর আশ্বাস
- বেসরকারি মেডিকেল কলেজের দিকে মনোযোগ বাড়ানোর তাগিদ
- প্রচারণার শুরুতেই সহিংসতা অনাকাঙ্ক্ষিত: সিইসি
- আমিরাতের সঙ্গে বাণিজ্য সমঝোতা স্মারক সই
- জাতীয় চেতনার স্মারক ‘দোয়েল চত্বর’
